Prodej spoluvlastnického podílu v k.ú. Svádov
Srpen 21, 2024

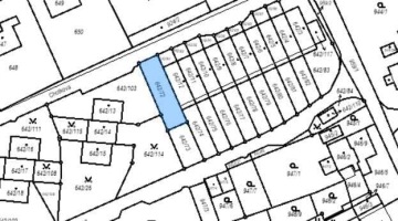
Předmětem prodeje je podíl o velikosti 1/10 na pozemku parcelní číslo 642/72 ostatní plocha o výměře 188m2 zapsaném na LV č. 461 v k.ú. Svádov, obci Ústí nad Labem u Katastrálního úřadu pro Ústecký kraj, Katastrální pracoviště Ústí nad Labem.
Podíl je zajištěn ve prospěch zajištěného věřitele Finanční úřad pro Ústecký kraj, který stanovil minimální kupní cenu na částku na 5 640,- Kč.
Podáním nabídky na uzavření kupní smlouvy na předmět prodeje se rozumí doručení závazné nabídky s uvedením následujících údajů:
- identifikační údaje zájemce, včetně jeho emailového a telefonního kontaktu,
- údaj o výši nabízené kupní ceny v české měně vyjádřený číslem i slovně (v případě rozporu má slovní vyjádření přednost) za každou jednotlivou položku, o kterou má zájemce zájem
- datum podpisu a podpis oprávněné osoby zájemce zastupovat
na adresu: Společná kancelář insolvenčních správců, v.o.s., Praha 4, V Luhu 18, PSČ 140 00. (dále jen „nabídka“).
Nabídka musí dále obsahovat čestné prohlášení zájemce o tom, že:
a) zájemce bezvýhradně akceptuje tyto podmínky prodeje,
b) zájemce není osobou uvedenou v ust. § 295 InsZ,
V případě, že je zájemce zastoupen na základě plné moci, musí být součástí nabídky zároveň originál takovéto plné moci opatřený úředně ověřeným podpisem zájemce.
Nabídku lze podat rovněž emailem na email uvedený níž či datovou schránkou.
Další informace ohledně zpeněžovaného majetku lze získat na emailové adrese: mhora@insolvencni-spravce.com.
Veškeré nabídky podléhají schválení zajištěného věřitele, platnost inzerátu neznamená mezní termín pro podání nabídek.